COAHUILA
El INE inicia la organización de elecciones locales en Coahuila
El Instituto Nacional Electoral (INE) inició formalmente la organización del Proceso Electoral Local 2025-2026 en Coahuila, donde se renovará el Congreso estatal, con la elección de 16 diputaciones de mayoría relativa y nueve de representación proporcional. El Consejo General del…
El pronóstico del tiempo para el lunes 29 de septiembre
El clima en Coahuila, se mantendrá caluroso y con nubes en la mayor parte del estado, aunque algunos rincones gozarán de temperaturas más frescas, como es el caso de Saltillo. Ciudad Acuña amanece con una mínima de 21 °C y…
La creación de la Provincia de Coahuila en el Diplomado de Historia en Torreón
Y el Diplomado de Historia de Coahuila sigue cada día con maestros de primera línea para beneficio de los coahuilenses. 25 estudiantes por zoom que son de Ciudad de México, Saltillo, Monclova, Múzquiz, Sabinas, Piedras Negras, Cuatro Cienegas, Texas entre…
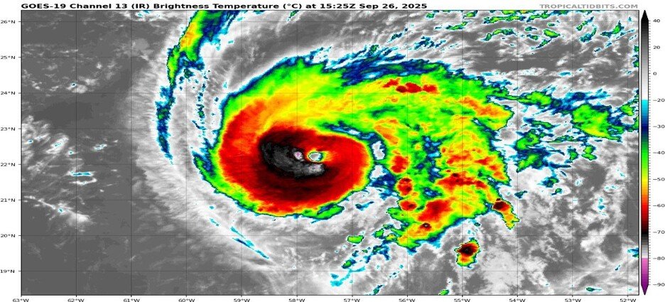
La tormenta Humberto pasa a huracán y advierten que toque tierra
La tormenta tropical Humberto que se formó el pasado miércoles en el Atlántico Tropical Central se fortaleció a huracán este viernes 26 de septiembre, según informó el Centro Nacional de Huracanes (NHC). El boletín del NHC, que fue emitido a las 5…
























